种子可借由风力、自力、水力以及动物传播:
风力传播是指较轻或有辅助的翅的种子,借由风力将种子传播至较远的地区。例如:木棉、蒲公英等植物。
蒲公英
自力传播是果实成熟时,会将种子弹开,使种子可以进行传播。例如:酢浆草等。
酢浆草
水力传播是生长在海边或河水边的植物,在果实成熟时掉入水中,借由水力将果实传播至远处;由于水可促使种子发芽,因此这种植物大多由完整的果实保护。例如: 椰子等。
椰子
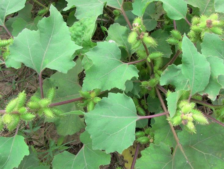
动物传播又可分两种,一种是动物咬食,另一则是附在动物的身体上。动物咬食的果实大多比较重,而且可以食用,无法消化的种子经由排泄传播。例如:百香果、番石榴。附在动物身上的果实大多有逆刺,可以勾在动物身上。例如:黐头芒。
痴头芒
每一种生命都会以它们自己的方式来繁衍后代,牛马有脚,鸟有翅,而作为不会动的植物大自然也赋予了它们特殊的传播种子的方式,那么植物传播种子有哪些方法?下面我们就一起来看一看植物的这些传播种子方法吧!
动物传播
靠动物传播种子的植物有苍耳、蒺藜、鬼针草、山葡萄、松树、樱桃、松子、板栗等。如鬼针草、苍耳等种子的外面生有刺毛、倒钩,只要轻轻一碰就会粘附到动物的毛皮上。而樱桃、野葡萄等植物大部份都有肉质的果实,这些植物的果实被鸟类采食后,种子经过消化道后随意排泄各地。板栗、松子等会被松鼠搬回家储存起来,一部分会被吃掉,剩下的来年就生根发芽了。
风传播
靠风传播种子的植物有蒲公英、柳树、杨树、枫树等,这些植物种子的质量通常较轻,能悬浮在空气中,风轻轻一吹就能把它们带到海角天涯。有些植物的种子还长出一些适合于借助风力飞翔的特殊构造,如棉、柳种子上的细绒毛,蒲公英果实上的伞状冠毛,松树、槭树、榆树种子翅状结构等。
水传播
生长在水里或水边的植物通常会借着水力来传播种子,如椰子树、睡莲等。椰子树的果实成熟以后,外壳坚硬,像一艘小船随海水漂到远方,被浪潮冲上岸后就会长出新的椰子树。睡莲的果实成熟后会落在水里慢慢腐烂,包有海绵状外种皮的种子就会浮起来,在水面随波逐流,最后沉入水底生根发芽。
弹射传播
弹射传播的意思是把种子象炮弹一样弹出去,常见的有油菜、芥菜、豌豆、大豆、绿豆、酢浆草、凤仙花等,这些植物的种子成熟后干燥而坚硬的果皮在似火骄阳的烘烤下常常“啪”的一声爆裂,种子就会像飞出枪膛的子弹被弹射到远处。其中最为有趣的是一种名为“喷瓜”的植物,当瓜成熟时只要稍有触动便会脱落,并在瞬间从顶端将瓜内的种子喷射出去。
声明:内容来自百度,本文仅让热点观察内容更加丰富,不代表达达搜观点。如有误或侵犯您的利益,可联系我们修改或删除,感谢合作。



